BREAKING NEWS
REGULASIES OOR GRADERING OP KANOLA HERSIEN
Graderingsregulasies speel ’n sleutelrol om konsekwente kwaliteit in die waardeketting te verseker. Die bestaande kanolagraderingsregulasies is tans onder hersiening. Om te verstaan waar die hersiening sy oorsprong het, is dit belangrik om die totale kanolaproduksieprentjie in Suid-Afrika te...
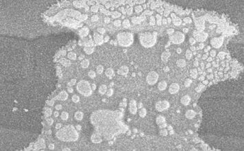
S. rolfsii steeds moeilik om te beheer op verskeie gewasse
Sclerotium rolfsii (ook bekend as Agroathelia rolfsii en algemeen genoem suidelike verrotting, stamverrotting of wit skimmel) besmet meer as 500 plantspesies, insluitend gewilde gewasse soos grondbone, sonneblom, sojabone en aartappels. Grasse soos koring, gars, graansorghum en ander kan...
ARTICLE CATEGORIES
MOST POPULAR
FERTILISER INDUSTRY IN SA: This is what it looks like
Fertilisers are crucial for improving soil fertility and maintaining agricultural productivity, especially in nutrient-limited soils commonly found in key grain-production regions of South Africa. The South African fertiliser industry is largely influenced by global trade dynamics, supply challenges,...


































